36, route du Polygone
Route du Polygone n° 36 – G 514 (p) puis section 15 parcelle 140 (cadastre)
Maître d’ouvrage, Jacques Kientz (1864), démolie en avril 2012



Bâtiments en décembre 2009
Même endroit, décembre 2014
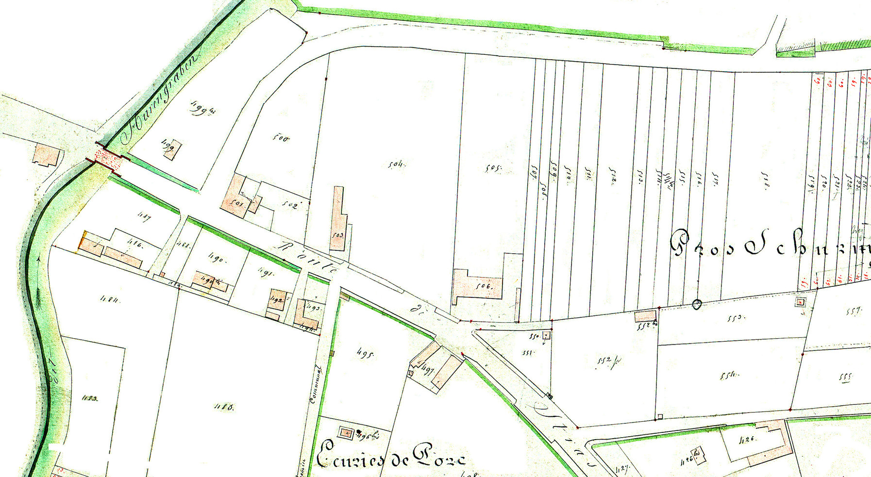
Auparavant propriétaire d’une maison au canton Kostmannsgarten, Joseph Kientz fait construire en 1864 deux bâtiments sur la parcelle 514 de la section G au lieu dit Gross Schurmfeld. Son fils Adolphe Kientz, locataire puis propriétaire, fait étayer en 1892 le pignon en bois de la grange puis construire en 1910 un nouveau bâtiment d’exploitation dans la cour avant et en 1911 des clapiers et une écurie dans la cour arrière. L’exploitation agricole fait partie au début des années 1920 des dix dernières au Neudorf. Le propriétaire fait ériger un mur de clôture le long de la rue d’Erstein en 1929 et percer en 1931 deux portes dans le mur de clôture vers la rue du Polygone. L’immeuble appartient en 1992 à la société civile immobilière Polygone. Les bâtiments sont démolis en avril 2012.



Croquis (1909) – Dessins lors des transformations dans la cour avant, 1910
Dessins lors des transformations dans la cour arrière, 1911 (dossier de la Police du Bâtiment)



Clôture transformée en 1931 – Plan cadastral en 1991, les terrains dépendant du n° 36 sont lavés de jaune (dossier de la Police du Bâtiment)
Démolition en avril 2012 (image publiée sur Archi-wiki)
mai 2018
Sommaire
Cadastre – Police du Bâtiment – Relevé d’actes
Récapitulatif des propriétaires
La liste ci-dessous donne les propriétaires de 1864 à 1920. La propriété change par vente (v), par héritage ou cession de parts (h) ou encore par adjudication (adj). L’étoile (*) signale une date donnée par les registres du cadastre.
| Jacques Kientz, jardinier, et (1855) Marguerite Gerg | ||
| Adolphe Kientz, jardinier |
Localisation sur le cadastre (1838)
Cadastre
Cadastre napoléonien, registre 15 f° 191 (2)
Kurtz, Jacques, Journalier au Neudorf (pour 1862) Kientz, Jacques voiturier route du Polygone N° 7
Gros schurmfeld, G 514, terre, 8,45 ares, revenu 3,53, tiré du f° 230, 1864
Gros schurmfeld, G 514-bis, terre, 8,40 ares, revenu 3,54, tiré du f° 307, 1864
Gros schurmfeld, G 514, Maison, revenu 6, c. n. 1867, 3 ouvertures
Gros schurmfeld, G 514, Maison, revenu 30, c. n. 1867, 1 porte cochère, 13 ouvertures
Gros schurmfeld, G 515, terre, 8,30 ares, revenu 3,49, tiré du f° 904, 1870
Augmentations 1867
Kientz, Jacques f° 191, G 514, Maison, 6 francs, achevée en 1854, imposable en 1867
Kientz, Jacques f° 191, G 514, Maison, 30 francs, achevée en 1854, imposable en 1867
Cadastre allemand, registre 193 (Neudorf, bâti) p. 177
Section 15, autrefois G, Großschurmfeld
parcelle 140, autrefois 514.p, 515.p, Wohnhaus, 30,00
Kientz Jakob, die Erben und Wittwe Margaretha geborne Gerg, compte 639
parcelle 142, autrefois 513.p, Waschküche, 6,00
Kientz Jakob, die Erben und Wittwe Margaretha geborne Gerg, compte 639
Annuaire de 1905
Verzeichnis sämtlicher Häuser von Strassburg und ihrer Bewohner, in alphabetischer Reihenfolge der Strassennamen (Répertoire de toutes les maisons de Strasbourg et de leurs habitants, par ordre alphabétique des rues)
Abréviations : 0, 1,2, etc. : rez de chaussée, 1, 2° étage – E, Eigentümer (propriétaire) – H. Hinterhaus (bâtiment arrière)
Polygonstrasse (Seite 252)
(Haus Nr.) 36
Kapp, Wwe. 0
Kientz, Ackerer. E 0
Kientz, Wittwe. 0
Dossier de la Police du Bâtiment (cote 854 W 270)
Route du Polygone 36 (1892-1992)
Locataire de l’exploitation qui appartient à sa mère Marguerite Gerg, Adolphe Kientz fait étayer en 1892 le pignon en bois qui s’affaisse dans la grange. Adolphe Kientz fait construire en 1909 une remise provisoire dans la cour avant, en 1910 un nouveau bâtiment d’exploitation et en 1911 des clapiers à lapins, un poulailler et une petite écurie dans la cour arrière.
L’exploitation agricole d’Adolphe Kientz fait partie des dix dernières au Neudorf : la Police du Bâtiment transmet un projet de modifier le règlement concernant les heures pendant lesquelles il est autorisé de transporter le fumier et le purin au Neudorf.
Le propriétaire fait construire un mur de clôture le long de la rue d’Erstein en 1929. Le marchand Adolphe Kientz fait percer en 1931 deux portes dans le mur de clôture vers la rue du Polygone, une pour les voitures et une autre pour les piétons. La veuve Adolphe Kientz obtient en 1975 deux ans de délai pour faire ravaler la façade. Le géomètre Jean Meyer demande en 1992 des renseignements d’urbanisme pour le compte de la société civile immobilière Polygone.
Sommaire
- 1892 – Rapport sur le pignon de la grange qui menace ruine dans la propriété de la veuve Kientz née Marguerite Gerg, domiciliée 24, route du Polygone. Elle estime que c’est son fils locataire des lieux Adolphe Kientz qui doit se charger des réparations. Lors de la visite des lieux, le fils Kientz déclare que le comble en bois penche d’un côté depuis longtemps mais est prêt à remplacer le bois du pignon par une maçonnerie et à poser immédiatement des étais. – Les étais ne sont pas posés dix jours plus tard, Adolphe Kientz déclare avoir beaucoup de travail aux champs. Ils le sont mais en nombre insuffisant au bout de quinze jours. Deux étais supplémentaires sont posés en février 1893, le locataire est alors en pourparlers avec sa mère pour faire les travaux. – Des étais solides ont été posés en avril, le dossier est classé
- 1906 – Le maire notifie A. Kientz de se conformer au nouveau règlement en supprimant les volets qui s’ouvrent vers la voie publique au rez-de-chaussée (deux fenêtres et deux soupiraux) – Les volets du rez-de-chaussée sont modifiés en mai 1906, ceux des soupiraux en septembre
- 1907 – Le maire notifie Adolphe Kientz de faire ravaler la façade avant l’hiver. La Police du Bâtiment accorde un délai jusqu’au printemps – Travaux terminés, mai 1908
- 1909 (janvier) – La Police du Bâtiment constate que le cultivateur Adolphe Kientz construit une remise sans autorisation – Adolphe Kientz déclare qu’il s’agit d’un bâtiment provisoire qu’on ne voit pas de la rue puisqu’il est caché par le mur de clôture de deux mètres de hauteur et par un bosquet d’arbres. – Croquis des lieux
1909 (mai) – L’architecte D. Grimm (68, route du Polygone) dépose une demande. La parcelle qui se trouve dans le troisième rayon des fortifications est alignée. La construction est autorisée si le mur coupe-feu a au moins 26 centimètres – Autorisation de construire une remise adossée à deux bâtiments accessoires. Le mur coupe-feu est réglementaire, le dossier classé en juillet 1909 – Dessin (plan, élévation, coupe) - 1910 – L’architecte Hæntzler demande au nom du cultivateur Adolphe Kientz l’autorisation de construire un nouveau bâtiment d’exploitation – Autorisation
Les travaux sont en cours début juin. Le propriétaire demande fin juin la réception du gros œuvre qui a lieu le 30. Le bâtiment est conforme au projet, le crépi ne pourra pas être posé avant le 19 juillet. La Police du Bâtiment expédie le certificat de réception finale en octobre – Dessin - 1911 (avril) – L’architecte Hæntzler demande au nom du cultivateur Adolphe Kientz l’autorisation de construire des clapiers à lapins et un poulailler – Autorisation de construire une remise et une écurie dans l’îlot 63 (a), accordée à Adolphe Kientz et à l’architecte A. Hæntzler (26, rue de la Grossau). – Dessin (les bâtiments se trouvent dans la cour arrière)
Les travaux commencés en juin se poursuivent en août, la Police du Bâtiment constate qu’une petite écurie est en construction. Outre les bâtiments autorisés qui sont conformes aux plans, le propriétaire a aussi fait édifier une nouvelle cheminée dans une ancienne en y plaçant un alambic (août) – Tous les travaux sont terminés, avril 1912 - Commission contre les logements insalubres, 1903. L’exploitation agricole n’a pas de locataires. L’arrière du jardin donne sur une rue [rue d’Erstein] et pourrait servir de terrain à bâtir.
1905, la fenêtre qui éclaire la chambre de l’ouvrier doit être agrandie. Travaux terminés
1908, rien à signaler
1913, les logements et les cabinets d’aisance sont en bon état
Commission des logements militaires, 915. La venelle entre les n° 34 et 36 doit être nettoyée - 1921 (janvier) – Le médecin municipal transmet par l’intermédiaire de la Police du Bâtiment au préfet une demande du cultivateur Adolphe Kientz concernant les heures pendant lesquelles il est autorisé de déplacer le fumier et le purin. Le règlement de police en date du 4 avril 1914 l’interdit après 10 heures du matin et après 5 heures du soir dans les quartiers denses du Neudorf. Le pétitionnaire objecte que son travail d’exploitant agricole exige de déplacer le fumier avant 5 heures en hiver à cause de la nuit qui tombe tôt. Le médecin estime que l’autorisation doit être portée à deux heures l’hiver pour les exploitations agricoles qui sont tout au plus au nombre de dix au Neudorf. Ce règlement ne concernerait pas la vidange des fosses d’aisance.
1921 (juin) – Le médecin municipal propose d’autoriser les exploitants agricoles à transporter le fumier et le purin dans les champs ou les jardins toute la journée, sauf entre 11 heures et 2 heures. La Police du Bâtiment estime que l’interdiction doit s’étendre jusqu’à 5 heures au moins pendant la saison chaude. Ce règlement pourrait ne pas être appliqué dans les quartiers agricoles comme la Robertsau, le Neuhof ou la Hohwart. - 1929 – Adolphe Kientz demande l’autorisation de construire un mur de clôture le long de la rue d’Erstein (parcelle 326 / 146 de la section 15) – Autorisation – Plan de situation et dessin – La clôture est posée, juin 1930.
- 1931 – Le marchand Adolphe Kientz demande l’autorisation de percer deux portes dans le mur de clôture vers la rue du Polygone – Autorisation – Dessin
Travaux terminés, août 1931 - 1970 – Le maire notifie Edouard Kientz, domicilié sur place, de faire ravaler la façade – Rappel en mars 1973 puis en novembre 1974, janvier 1975
La veuve Adolphe Kientz demande en janvier 1975 un délai qui lui est accordé pour une période de deux ans - 1990 – Le notaire François-Xavier Christ, de Rosheim, demande des renseignements d’urbanisme sur les 36 et 40 route du Polygone, parcelles 140, 326/146, 359/136 et 322/138 de la section 15. Les dispositions comprennent l’arrêté préfectoral du 21 mars 1990 portant délimitation du périmètre d’une Zone d’aménagement différé, sise route du Polygone. La Ville projette en outre de porter de 14 à 20 mètres la largeur de la rue.
- 1992 – Le géomètre Jean Meyer, de Schiltigheim, demande des renseignements d’urbanisme – Extrait du plan cadastral de situation – Propriétaire, S.C.I. Polygone – Parmi les dispositions applicables figure le Plan d’occupation des sols rendu public le 28 janvier 1991
Relevé d’actes
Fils de jardinier, Jacques Kientz épouse en 1855 Marguerite Gerg, fille de cultivateur
Mariage, Strasbourg (n° 9)
Du 9° jour du mois de janvier 1855. Acte de mariage de Jacques Kientz, majeur d’ans, né en légitime mariage le 10 août 1829 à Strasbourg, domicilié à Strasbourg, voiturier, fils de feu Jean Jacques Kientz, jardinier décédé en cette ville le 4 octobre 1834 et de Marie Salomé Kostmann, domiciliée à Strasbourg, ci présente et consentante, et de Marguerite Gerg, majeure d’ans, née en légitime mariage le 6 juin 1827 à Strasbourg, domiciliée à Strasbourg, fille de feu Sébastien Gerg, cultivateur décédé en cette ville le 11 mars 1854 et de feu Anne Marie Stern décédée en cette ville le 16 février 1837 (…) en présence de Daniel Kostmann, âgé de 46 ans, jardinier, oncle de l’épouse (signé) Jacob Kientz, Margaretha Gerg (i 7)